País-Mundo
Tormenta tropical Fabio se localiza al suroeste de las costas de Jalisco
En el aviso más reciente registrado por el organismo dependiente de la Comisión Nacional del Agua (Conagua) informó que la tormenta tropical se ubica a 950 kilómetros al suroeste de Playa Perula, Jalalisco, y a mil 155 kilómetros al sur de Cabo San Lucas, Baja California Sur.

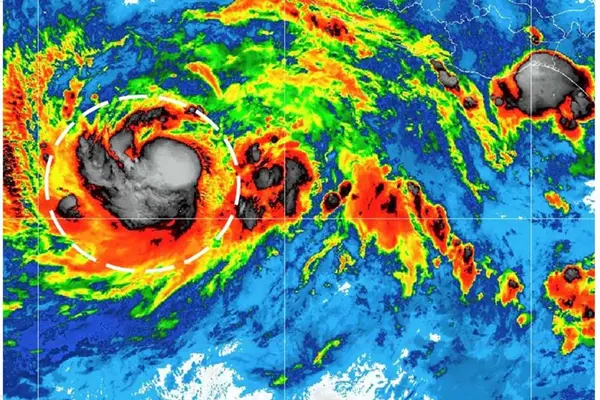
Ciudad de México.- El Servicio Meteorológico Nacional (SMN) reportó esta madrugada que la tormenta tropical Fabio se localiza al suroeste de las costas de Jalisco.
Además, resaltó que continúa intensificándose y favorece entrada de humedad hacia el occidente del país.
En el aviso más reciente registrado por el organismo dependiente de la Comisión Nacional del Agua (Conagua) informó que la tormenta tropical se ubica a 950 kilómetros al suroeste de Playa Perula, Jalalisco, y a mil 155 kilómetros al sur de Cabo San Lucas, Baja California Sur.
Precisó que el fenómeno natural registra vientos sostenidos de 110 kilómetros por hora y rachas de 140 kilómetros por hora, con desplazamiento hacia el Oeste a 17 kilómetros por hora.
Indicó que esto refuerza el potencial lluvias sobre el occidente del país.
Por ello el Meteorológico Nacional recomendó a la población en general extremar precauciones en las zonas de los estados mencionados por lluvias, viento y oleaje (incluyendo la navegación marítima) y atender las recomendaciones emitidas por las autoridades del Sistema Nacional de Protección Civil, en cada entidad.
Te puede interesar:
MÁS NOTICIAS DE País-Mundo










