País-Mundo
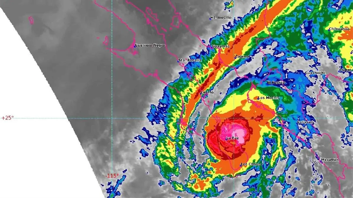
Se pronostican lluvias intensas para Baja California Sur
En las próximas tres horas, lluvias puntuales intensas azotarán las costas de Baja California Sur.

Sinaloa.- En las próximas tres horas, se pronostican sobre el estado de Baja California Sur (centro y sur) lluvias puntuales intensas, vientos con rachas superiores a 80 km/h y olas de 3 a 5 metros sobre costas.
Lluvias puntuales muy fuertes en Sonora (sur), Sinaloa (norte y centro); lluvias puntuales fuertes en Chihuahua (centro y sur), Coahuila (norte), Durango (norte y occidente), Zacatecas (occidente), Jalisco (norte) y Chiapas (sur).
Las lluvias mencionadas podrán estar acompañadas de descargas eléctricas, posibles deslaves, aumento en los caudales de ríos y arroyos e inundaciones en zonas bajas de dichos estados.
Asimismo, se pronostica lluvias con intervalos de chubascos en Coahuila (centro, sur y occidente), Guanajuato (suroeste), Guerrero (costa), Estado de México (suroeste), Oaxaca (centro y oriente), Chiapas (occidente) y Campeche (suroeste). Las lluvias mencionadas, podrán estar acompañadas de descargas eléctricas, caída de granizo y rachas superiores a 50 km/h.
Te puede interesar:
MÁS NOTICIAS DE País-Mundo










