País-Mundo
Huracán «Ian» azotará Florida como categoría cuatro
Huracán «Ian» dejará serios daños a Florida tras su impacto, aseguran

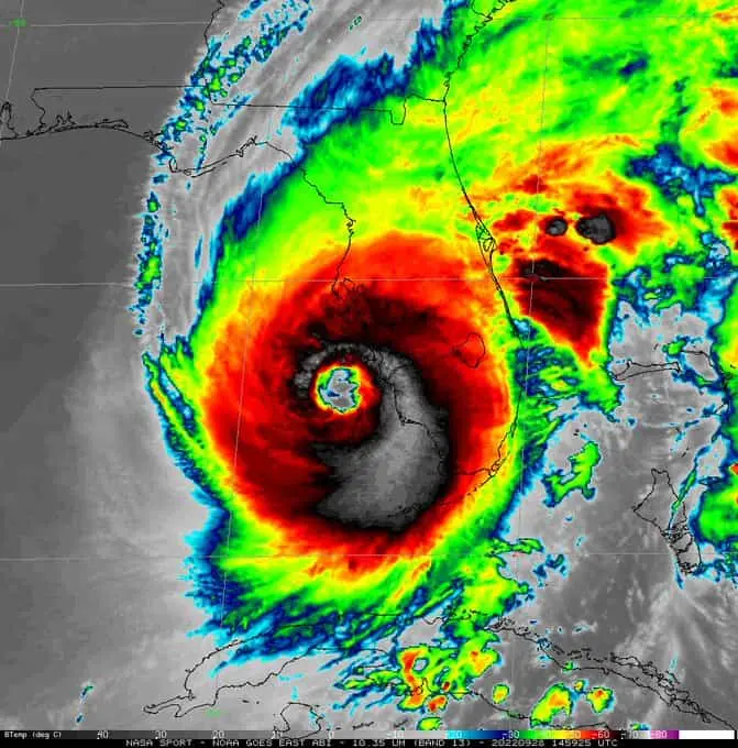
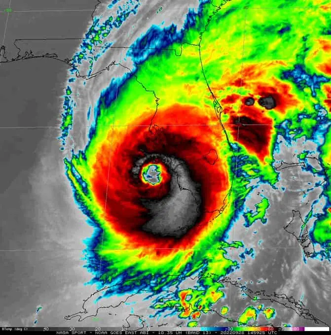
El huracán «Ian» enfila hacia la costa oeste de Florida con vientos de 155 millas por hora (250 km/h), donde se prevé toque tierra este miércoles y produzca efectos catastróficos, mientras las autoridades piden a la población de esa área a protegerse y "rezar".
"Es hora de arremangarse prepararse para esta tormenta. Esta es una tormenta poderosa que debe tratarse como lo haría si un tornado se acercara a su casa", dijo el gobernador estatal, Ron DeSantis, quien alertó que a esas horas ya no es posible "evacuar con seguridad" y pidió orar por quienes hayan optado por no dejar sus casas.
"Ian causará marejadas ciclónicas catastróficas, vientos e inundaciones en la península de florida pronto", alertó el Centro Nacional de Huracanes (NHC) de EEUU en su boletín de las 11 de la mañana (15.00 GMT)
A esa hora, Ian se hallaba a unas 50 millas (80 km) al sursuroeste de Punta Gorda, y en el gráfico de trayectoria, la zona de impacto se sitúa más al norte, en la bahía de Tampa, área en donde ya se registran vientos y se han producido cortes de energía.

De acuerdo a la web especializada poweroutage.us, hasta mediodía de hoy un total de 193.677 clientes de Florida se hallan sin suministro eléctrico, de más de 11 millones rastreados en este estado.
Los directivos de la compañía eléctrica FPL señalaron este miércoles que se ha dispuesto más de 40.000 trabajadores para proceder con el restablecimiento de energía una vez las condiciones lo permitan, y muchos de esos trabajadores provienen de otros estados.
DeSantis dio a conocer que hay unos 5.000 miembros de la Guardia Nacional de Florida para los mismos fines.
"Este va a ser uno de esos históricos huracanes", el "impacto va a ser enorme", alertó el gobernador en rueda de prensa previa a la llegada del centro del huracán a Florida, y en la que recordó otros ciclones que en los últimos años han alcanzado este sureño estado y dejó muertes a su paso.
DeSantis pidió a la población ser cauta una vez el huracán haya pasado, dado que después aparecen nuevos riesgos, entre ellos los asociados a cables de alta tensión sueltos, que son causantes de muertes.

Ian, que se desplaza a 9 millas por hora (15 km/h) con dirección nornoreste, presenta vientos máximos sostenidos que casi lo equiparan con un huracán de categoría cinco, que empieza a partir de 157 millas por hora (252 km/h) y es la máxima en la escala Saffir-Simpson.
Ian ya ha dejado sentir sus fuertes vientos y copiosas lluvias, que han producido inundaciones repentinas, en algunas partes de Florida.
En los Cayos de Florida, que sintieron los efectos de Ian antes que el resto del estado por su cercanía a Cuba, se registraron inundaciones por subida del nivel de mar y lluvias en lugares como Cayo Hueso, una turística ciudad isla, en cuyo centro histórico el agua corría esta mañana por las calles.
SIGUE LA TRAYERIA DEL HURACÁN IAN
En el sureste de Florida, que ha evitado lo peor de Ian al quedar fuera de cono de trayectoria no obstante se han registrado tornados y sus autoridades han pedido a las personas mantenerse vigilantes.
La alcaldesa del condado Miami-Dade, que como el vecino Broward pidió a la población ser cauta en vista de que durante el día pueden registrarse vientos con fuerza de tormenta tropical y hasta ocho pulgadas (más de 200 mililitros) de lluvias.
LA BAHÍA DE TAMPA EN ALERTA
La peligrosa marejada ciclónica que producirá Ian a su paso puede elevar el nivel del mar hasta un máximo de 16 pies (4,8 metros) en alguna porción de la costa oeste de Florida.
El boletín del NHC incluye una larga lista de advertencias y avisos de paso de huracán, marejada ciclónica y tormenta tropical que abarca gran parte de Florida, incluida la costa este, y también algunos sectores de las islas Bahamas.
La zona con avisos de mayor gravedad comprende el cayo Dry Tortugas, en el occidente de los Cayos de Florida y sin población permanente, un área en la costa este, entre los condados Flager y Volusia.

Es ahí donde se espera que toque tierra Ian en el transcurso de hoy con vientos "catastróficos" de categoría cuatro, según el NHC.
La mañana de este miércoles, la Patrulla de Carreteras de Florida cerró el puente Sunshine Skyway en la bahía de Tampa en ambas direcciones después de que los vientos asociados con el huracán Ian llegaran hasta las 60 millas por hora en esa zona.

El puente permanecerá cerrado hasta que pase la tormenta y disminuyan las inclemencias del tiempo, según el comunicado de prensa.
"Diría que estoy un poco desprevenido", confesó al diario local Tampa Bay Times Kenny Palin, propietario de Solorzano's Pizzeria, en Sarasota y Longboat Key, mientras la tarde del martes transportaba los últimos pepperoni y salchichas de su local ubicado en esta isla de cara al Golfo de México. Una fila de tres horas para recoger de sacos de arena obligó a este comerciante a recoger su propia arena de la playa.
LEE TAMBIÉN:
Te puede interesar:
MÁS NOTICIAS DE País-Mundo










