Sinaloa | Centro
Sinaloa está preparado para recibir al huracán «Norma»: gobernador
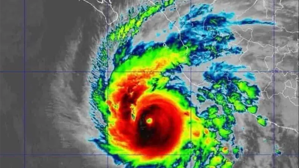
Tres modelos meteorológicos indican que el huracán categoría 4 impacte a Sinaloa.

Sinaloa está preparado para recibir el agua y los vientos del huracán categoría 4 «Norma», señaló el Gobernador del Estado, Rubén Rocha Moya.

FOTO: Archivo/LuzNoticias.
Como el fenómeno meteorológico ha cambiado su dirección en repetidas ocasiones, precisó que tres modelos de medición han señalado diferentes puntos de impacto, sin embargo, todos coinciden en tierras sinaloenses.
«Se está moviendo mucho, a las 6 de la tarde haremos una revisión con información de meteorólogos nacionales, de Estados Unidos y de hasta Europa. Algunos dicen que llegará de Escuinapa y abarcará hasta Ahome, otros dicen que entrará por el centro de Sinaloa por Altata, no tenemos precisión», explicó.
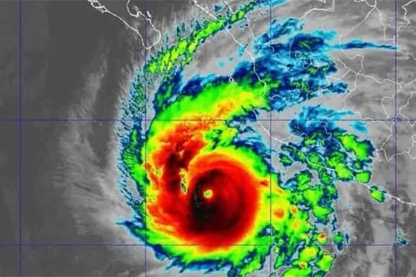
El gobernador mencionó que Protección Civil Sinaloa le está dando el seguimiento oportuno al fenómeno climatológico para determinar qué medidas tomar, ya que el impacto a Sinaloa podría variar si el huracán «Norma» primero toca tierra en Baja California Sur.

FOTO: Cortesía.
Aunque esperan que el huracán «Norma» traiga agua al estado, Rocha Moya señaló que así como podría traer gran cantidad de lluvia, podría generar fuertes vientos, por lo que estarán actualizando de manera constante su trayectoria.
Te puede interesar:
MÁS NOTICIAS DE Sinaloa










